CASES 症例紹介
ここでは特徴的な症例について、一部をご紹介いたします。
※手術の写真を掲載しておりますので、苦手な方はご注意ください。
小滝橋動物病院グループ全体の外科症例件数については、>こちらをご参照ください。
一般外科症例

犬・猫の変性性腰仙椎狭窄症(DLSS・犬猫の馬尾症候群)に対する手術(腰仙椎固定術)

目次


変性性腰仙椎狭窄症(DLSS・馬尾症候群)について


変性性腰仙椎狭窄症(DLSS・馬尾症候群)は第7腰椎と仙骨(人で言う尾てい骨)の間が何らかの原因で狭くなってしまい、そこを通る神経(馬尾神経)を圧迫してしまうことで、後肢麻痺などがおきる疾患です。
原因は背側の黄色靭帯の肥厚や、腹側の椎間板による圧迫、仙骨の不安定性によるものなどがあります。
それらにより神経が圧迫され腰の痛みが出ることが多く、さらに尻尾が動かしにくくなったり、後ろ足がしびれたり立てなくなったり、ひどくなると排尿排便困難になることもあります。
触診や神経学的検査、レントゲン検査で仮診断し、確定診断にはMRI検査が必要になります。


犬の変性性腰仙椎狭窄症(DLSS・馬尾症候群)の実際の症例


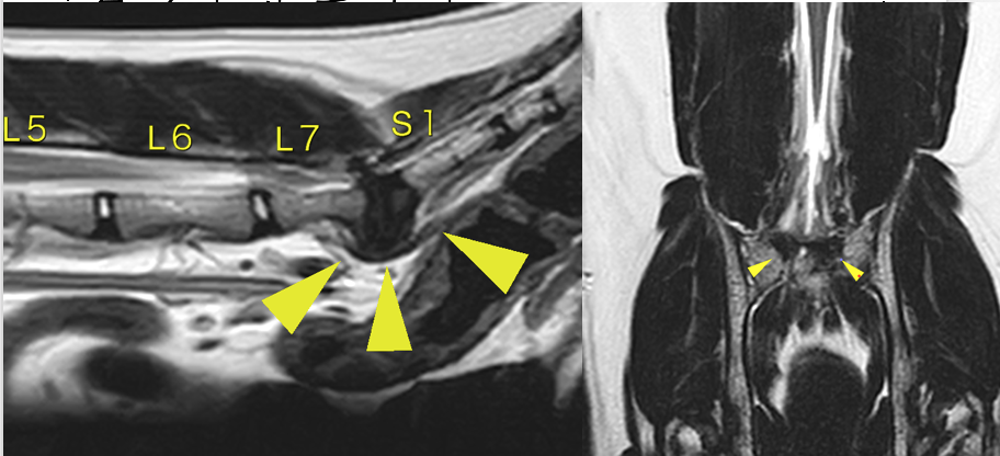
L7とS1(第7腰椎と仙骨)の部分での神経圧迫が確認できました。
治療には内科的に痛みを取る方法や、外科治療がありますが根本を解決するには現在のところ外科治療しかありません。
手術では背中からアプローチし、骨と靭帯を除去したのちに腹側の圧迫があればそれも除去します(減圧)。
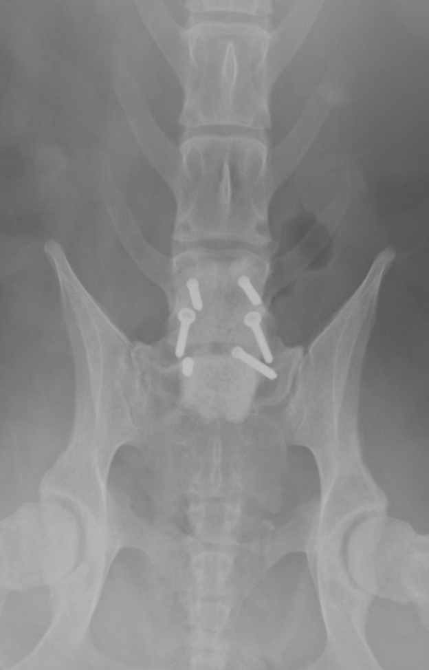
その後に腰を曲げ伸ばした状態でスクリューと骨セメントを利用して固定します。
斜めに入っているスクリュー2本が経関節固定のスクリューで、他の4本は骨セメント固定用のスクリューです。
スクリューのヘッドを覆っているものが骨セメントです。
真ん中の2つが経関節固定のスクリューで、前後2本ずつ入っているのが骨セメント用スクリューです。
それを覆う四角形のものが骨セメントです。
スクリューにはロッキングスクリューを利用しています。
術後は神経の再生を促すためにリハビリを行います。
術後しばらくすると痛みが取れ、少しずつ麻痺などが良化していきます。



猫の変性性腰仙椎狭窄症(DLSS・馬尾症候群)の実際の症例


近年では猫のDLSS(馬尾症候群)が多いと言われるようになりました。
年をとった猫が増加したのと、MRIの普及により今まで見逃されていたものが見つかるようになったことが考えられます。
猫では犬よりも脊髄が尾側まで走行しており、犬に比べて痛みが強く出たり症状が出てしまうことが多いです。
診断や治療は犬と同様で、MRIにより診断し、手術による治療を行います。

L7-S1の間に圧迫が見られます。
矢頭部が圧迫物質です(黄色靭帯の肥厚がメイン)。
背側からラウンドバーと呼ばれる機械で削り、中に見えてくる黄色靭帯を摘出していきます。
圧迫が解除されたらスクリューをうち、セメントによって固定します。
スクリューとセメントで固定されています。
執筆担当:獣医師 磯野 新